15

Obowiązkowe skrzyżowania na egzamin na prawo jazdy

NAUKA JAZDY – TRUDNE SKRZYŻOWANIA W STREFIE EGZAMINACYJNEJ

SKRZYŻOWANIA OBOWIĄZKOWE W TRAKCIE REALIZACJI SZKOLENIA

KLIMASA Z TARNOGAJSKĄ

SKRZYŻ. UL. KLIMASA Z ULICĄ TARNOGAJSKĄ (SKRĘT W LEWO)

Na tym skrzyżowaniu została zainstalowana sygnalizacja świetlna z sygnalizatorem S 1 (skrzyżowanie kolizyjne !) Trzeba uważać wyjeżdżając z ul. Klimasa (od str. DORD) skręt w lewo przepuszczamy pojazdy jadące od ul. Klimasa z przeciwka!

       

TARNOGAJSKA Z PIĘKNĄ I ARMII KRAJOWEJ

SKRZYŻ.UL.TARNOGAJSKA – JAZDA GÓRNĄ STRZAŁKĄ W UL. PIĘKNĄ – DOLNĄ STRZAŁKĄ W UL. ARMII KRAJOWEJ

Prosimy pamiętać o włączeniou kierunkowskazów przy poleceniu jadąc górną lub dolną strzałką.

              

NYSKA Z PIĘKNĄ

SKRZYŻ.UL. NYSKA (SKĘT W LEWO) W UL.PIĘKNĄ LUB ZAWRACANIE

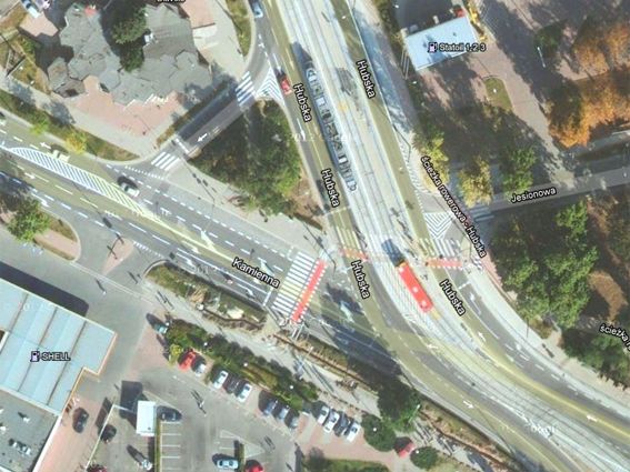
KAMIENNA Z BARDZKĄ

SKRZYŻOWANIE ULIC KAMIENNA, BARDZKA, HUBSKA

Skrzyżowanie jazda od str. ul. Bardzkiej w 4-kierunkach (Wrocławska Szkoła Jazdy)w ul. Kamiennąw ul. Hubską w ul. Jesionową skręt w prawo w ul. Piękną

SKRZYŻOWANIE ULIC PIĘKNEJ I BARDZKIEJ

Skrzyżowanie ul. Piękna dojazd do ul. Bardzkiej w 3 kierunkach (Wrocławska Szkoła Jazdy) na wprost w ul. Kamienną(nie zmieniamy pasa),w prawo i w prawo  w ul. Hubską w prawo i w prawo na skrzyżowaniu z sygnalizacją skręt w ul Jesionową

skrzyżowanie ulic: Hubska i św. Jerzego

            

skrzyżowanie — skręt w ul. Kamienną (Wrocławska Szkoła Jazdy)

SKRZYŻ. SKRĘT W UL. KAMIENNĄ UWAGA STOP!

(linia bezwarunkowego zatrzymania) – po wjeździe na ul. Kamienną uwaga na drogę dochodzącą z prawej str. (ewentualne pierwszeństwo dla wjeżdżających z tej drogi !) jeżeli nas przepuszcza to inf. (puszcza mnie jadę).

skrzyżowanie ul. Gazowa z ul. Karwińską — skręt w lewo

SKRZYŻ. UL. GAZOWA Z UL. KARWIŃSKĄ SKRĘT W LEWO

(słaba widoczność – lepiej zatrzymaj)

skrzyżowanie ul. Karwińska — skręt w lewo w ul. Mościckiego

SKRZYŻ.UL. KARWIŃSKA SKRĘT W LEWO W UL. MOŚCICKIEGO W STR. BROCHOWA

skrzyżowanie ul. Mościckiego z ul. Wiaduktową

SKRZYŻ.UL. MOŚCICKIEGO Z UL. WIADUKTOWĄ

(za wiaduktem ul. z bruku) zawracanie z wykorzystaniem drogi podporządkowanej lub skręt w lewo z kierunkowskazem !

      

skrzyżowanie na Brochowie — ul. Mościckiego z ul. Chińską i ul. Koreańską

SKRZYŻ. NA BROCHOWIE UL. MOŚCICKIEGO Z UL. CHIŃSKĄ /UL. KOREAŃSKĄ

(Uwaga na wjazd w strefę-na końcu Brochowa)-jeżeli jedziemy z kierunku ul. Chińskiej nakaz jazdy w lewo lub w prawo (pytamy w którym kierunku jedziemy)

   

Brochów – przejazdy kolejowe ul. Centralna / ul. Konduktorska

BROCHÓW – PRZEJAZDY KOLEJOWE UL.CENTRALNA Z UL.KONDUKTORSKĄ

Przed wjazdem zwężenie drogi, zatrzymanie przed krzyżem Św.Andrzeja na następnym przejeździe kolejowym ul.Konduktorska jadąc w stronę ul.Buforowej połączony znak stop za znakiem krzyża Św.Andrzeja (obowiązkowe zatrzymanie).

ul. Buforowa / ul. Radomierzycka — jazda w kierunku Strzelina, rondo

UL.BUFOROWA Z UL.RADOMIERZYCKA JAZDA W KIERUNKU STRZELINA RONDO.

ul. Armii Krajowej — zjazd estakadą w kierunku Opola

UL.ARMII KRAJOWEJ ZJAZD ESTAKADĄ W KIERUNKU OPOLA (WJAZD NA UL.KRAKOWSKĄ Z LEWYM KIERUNKOWSKAZEM)

przy dużym ruchu inf. Do egzaminatora że kierowca nas puszcza – więc jadę (twierdząco).

ul. Armii Krajowej — zjazd z estakady na ul. Krakowską w stronę ul. Kościuszki

UL. ARMII KRAJOWEJ – ZJAZD Z ESTAKADY NA UL. KRAKOWSKĄ W STRONĘ UL.KOŚCIUSZKI.

Ul. Armii Krajowej – zjazd z estakady na ul. Krakowską w stronę ul.Kościuszki. Zawracanie nie tylko na pierwszym skrzyżowaniu przy Selgrosie. Następne miejsce do zawracania przy Praktikerze, następne na skrzyżowanie z sygnalizacją (w kształcie litery T- z lewej str.), i na końcu ul.Krakowskiej na rozgałęzionym skrzyżowaniu. Zjazd na Niskie Łąki – uwaga przy zawracaniu (wydłużony znak poziomy).

skrzyżowanie ul. Kościuszki z ul. Pułaskiego

SKRZYŻOWANIE UL.KOŚCIUSZKI Z UL.PUŁASKIEGO – SKRĘT W LEWO (PRZY NAKAZIE W PRAWO I W LEWO – OD ŚRODKA JEZDNI – OBSERWOWAĆ PRAWE LUSTERKO CZĘSTO WYMUSZAJĄ Z PRAWEGO PASA!)

skrzyżowanie ul. Piłsudskiego — skręt w prawo w ul. Dmowskiego

SKRZYŻOWANIE UL SKĘT Z UL. PIŁSUDSKIEGO W PRAWO W UL. DMOWSKIEGO I PIERWSZA W LEWO DO UL. DWORCOWEJ (KRÓTKI ODCINEK DROGI JEDNOKIERUNKOWEJ KURSANT POPEŁNIA BŁĄD – SKĘTU W LEWO.

skrzyżowanie ul. Gajowa z ul. Dyrekcyjną — dojazd do ul. Pułaskiego

SKRZYŻOWANIE UL.GAJOWA Z UL.DYREKCYJNĄ DOJAZD DO UL. PUŁASKIEGO SKRĘT W LEWO (PODWÓJNE SKRZYŻ.) – TRUDNE W DUŻYM RUCHU.

skrzyżowanie ul. Kamienna z ul. Dyrekcyjną — skręt w lewo

SKRZYŻOWANIE UL.KAMIENNA Z UL.DYREKCYJNĄ SKRĘT W LEWO (MOŻNA WCZEŚNIEJ ZMIENIĆ PAS – PRZED POPRZEDZAJĄCYM SKRZYŻOWANIEM).

skrzyżowanie ul. Dyrekcyjna / Gliniana / Ślężna — wjazd od ul. Dyrekcyjnej

Skrzyżowanie ul.Dyrekcyjna/Gliniana/Ślężna wjazd od ul. Dyrekcyjnej (Wrocławska Szkoła Jazdy)

skrzyżowanie ul. Gliniana z ul. Łódzką

SKRZYŻOWANIE UL.GLINIANA/ŁÓDZKA DOJAZD DO MIEJSCA Z NAKAZEM SKRĘTU W PRAWO I W LEWO (KURSANT PYTA EGZ. W KTÓRYM KIERUNKU MA POJECHAĆ), PRZY POLECENIU SKRĘTU W LEWO UWAGA TRAMWAJ!

skrzyżowanie ul. Wesoła z ul. Ciepłą

SKRZYŻOWANIE UL.WESOŁEJ Z CIEPŁĄ SKRZYŻOWANIE MOŻNA POMYLIĆ Z WYJAZDEM Z BRAMY Z OSIEDLA SKRZYŻOWANIE RÓWNORZĘDNE PO OBU STRONACH UL.WESOŁEJ.

skrzyżowanie ul. Kamienna z ul. Borowską

SKRZYŻOWANIE UL.KAMIENNA Z UL.BOROWSKĄ SKRĘT W LEWO WJEŻDŻA TYLKO JEDEN POJAZD! (PRZY WJEŹDZIE PAMIĘTAMY ABY NIE WJEŻDŻAĆ GŁĘBOKO).

Proszę przejeżdżać wszystkie skrzyżowania ze znakiem STOP.

skrzyżowanie ul. Orzechowa — skręt w lewo w ul. Armii Krajowej

SKRZYŻOWANIE UL.ORZECHOWA SKRĘT W LEWO W UL.ARMII KRAJOWEJ (UWAGA NA ZNAKI POZIOME – STARE NIE WAŻNE ZNAKI) PRZY SKRĘCIE W LEWO PAMIĘTAMY O DWÓCH PASACH – NA KTÓRYM ZACZYNASZ NA TAKIM KOŃCZYSZ!

ul. Jabłeczna — strefa zamieszkania

JEDZIESZ UL.JABŁECZNĄ (DROGA WEWNĘTRZNA) PAMIĘTAJ DOCHODZĄCA DROGA – STREFA ZAMIESZKANIA – WYJEŻDŻAJĄCY Z TAKIEJ STREFY JEST SIĘ WŁĄCZAJĄCYM SIĘ DO RUCHU.

skrzyżowanie ul. Armii Krajowej — skręt w lewo w ul. Bardzką

SKRZYŻOWANIE UL.ARMII KRAJOWEJ SKRĘT W LEWO W UL BARDZKĄ –UWAGA NA ZNAK POZIOMY (LINIA CIĄGŁA – SKRĘT KOŃCZYMY NA LEWYM PASIE).

skrzyżowanie ul. Gazowa z ul. Międzyleską

SKRZYŻOWANIE UL.GAZOWA Z UL. MIĘDZYLESKĄ PRZY POLECENIU ZAWRACANIA Z WYKORZYSTANIEM DROGI PODPORZĄDKOWANEJ (PRÓBUJEMY ZAWRÓCIĆ ZA JEDNYM ZAMACHEM TYLKO WTEDY GDY Z UL. MIĘDZYLESKIEJ NIE ZBLIŻAJĄ SIĘ POJAZDY W INNYM PRZYPADKU WJEŻDŻAMY W TĄ DROGĘ I ZAWRACAMY W PIERWSZYM DOGODNYM MIEJSCU).

skrzyżowanie ul. Bogedaina z ul. Armii Krajowej

SKRZYŻOWANIE UL.BOGEDAINA Z UL.ARMII KRAJOWEJ SKRĘT W LEWO MOŻNA DOJECHAĆ DO LEWEJ LUB PRZEZ ŚRODEK (BEZPIECZNIEJ WYKONAĆ SKRĘ BĘDĄC PRZY LEWEJ STR.) – PAMIĘTAJMY NIE WJEŻDŻAMY NA SKRZYŻ. JEŻELI WIDZIMY POJAZD JADĄCY Z GÓRY Z PRAWEJ STR. UL. ARMII KRAJOWEJ KTÓRY SYGNALIZUJE SKRĘT W LEWO LUB ZAWRACANIE .

wyjazd z Tranzbudu do ul. Bogedajna (z płyt betonowych)
WYJAZD Z TRANZBUDU DO UL.BOGEDAJNA (Z PŁYT BETONOWYCH ) JEST WYJAZDEM Z OBIEKTU PRZYDROŻNEGO PRZEPUSZCZAMY WSZYSTKICH.
skrzyżowanie — skręt w lewo z ul. św. Jerzego w ul. Hubską
SKRZYŻOWANIE SKRĘT W LEWO Z UL.ŚW. JERZEGO W UL.HUBSKĄ (PRZEWAŻNIE NA DWA RAZY Z KOMENTARZEM – PODJEŻDŻAM)
skrzyżowanie ul. Gliniana / Borowska — przesunięty pas ruchu
SKRZYŻOWANIE UL.GLINIANA Z BOROWSKĄ PRZESUNIĘTY PAS RUCHU (UWAGA ZNAKI POZIOME)
rondo obok Sky Tower
RONDO OBOK SKY TOWER

Picture of Redakcja Wrocławskiej Szkoły Jazdy
Redakcja Wrocławskiej Szkoły Jazdy

Tworzymy rzetelne treści o szkoleniu kierowców, przepisach ruchu drogowego oraz nowoczesnych rozwiązaniach w branży transportowej. Naszą misją jest dostarczanie aktualnej i praktycznej wiedzy, która pomaga przyszłym kierowcom oraz osobom podnoszącym kwalifikacje podejmować świadome decyzje i rozwijać umiejętności za kierownicą.

Udostępnij artykuł:
Facebook
Twitter
LinkedIn
Telegram
WhatsApp
Call Now Button